2019年のブドウ成長記録。自宅そばのリューデスハイムからOestrich-Winkel辺りにかけてのブドウ畑を観察して記載。(写真は主にリースリング) 収穫及び醸造過程はWeingut Hamm;Hamm醸造所(Oestrich-Winkel)にて。
+++++++++++++++++++++++++++++++++
BBCHコードとは
"die Biologische Bundesanstalt, Bundessortenamt und CHemische Industrie" の略で、ドイツで用いられるブドウの樹の成長度合いを表すコードの事。
2018年のブドウ畑
2020年のブドウ畑
+++++++++++++++++++++++++++++++++
10月31日 「BBCH 95:50% Blätter abgefallen(50%落葉)」
Weinkeller内での膨大な作業と一通りの掃除も今週頭でようやく終了し、やっと一息がつける状態に。アルコール発酵は9割方完了して、しばらくは安定化をさせるためにしばしの休息タイムへ。
冬時間になったとたん、朝の冷え込みは0℃近くまで下がるなど、一気に冬の様相を呈してきた最近。ブドウ畑の紅葉も艶やかさがなくなって見頃も終わり。平均すると50%くらいが落葉している。
ここでガイゼンハイムの2019年の天気(気温と雨量)とブドウの成長の関係、さらには2018年との比較を見ておこうと思う。
今年は春先非常に暖かい日が続き、平均より9日、昨年より2日早く発芽。この時は、誰もが今年も昨年の様に暑くなり、9月頭には収穫となるのだろう、と予想していた。しかし、5月に入り気温が下がり雨も多く、開花は平年並みの6月12日に。2018年に比べると実に2週間ほど遅かった。
6月後半、7月後半と非常に高温の日がありつつ、雨も定期的に降った結果、ブドウの成熟開始が平年よりも6日早く、2018年と比べて2週間以上遅い結果となった。高温のせいで、日焼けによる被害が増えて心配であったが、その後はそれほどの高温にならなかったために大きな打撃を受けるほどには広がらず。とは言え気温は高めに推移して、収穫開始は9月23日。平均より2週間ほど早く、一方昨年より11日ほど遅い結果となった。
重要となる発芽前後の天気が比較的安定していたこともあり、収穫量は比較的多めではあったが、特に成熟期〜収穫期の定期的な雨によってボトリティス菌の増加が目立ったことで収穫期が少し早まったとも言える(ボトリティス菌を起因とする腐敗が危惧されたため。)。ちなみに、ボトリティス菌は貴腐ワインを作る上では有益な菌だが、通常のワインにおいては発生率次第で厄介者となる。(他のカビ菌を誘発したり、果実の腐敗因子となることで不快なアロマがワインに現れてしまう。などなど。)
2018年に比べて果汁の糖度はやや低かったものの、酸の含有量は比較的良好であった2019年。ここから数か月をかけてどのようなワインになっていくだろうか。楽しみでしかない。
10月25日 「BBCH 93:Beginn des Laubfalls(落葉の始まり)」
黄色一色になり、少しずつ落葉が始まりだしたブドウ畑。週末はたくさんの人がブドウ畑を散歩していて、ワイナリーのレストランもまだまだ大賑わい!
Hammワイナリーの収穫は10月18日に終わり、プレスや澱(おり)引きを終えて酵母を加えるところまで一通り終わったのが10月21日。ようやく少しだけ一息がつけるようになったここ数日。
そして、Keller(ワインセラー)内では絶賛発酵中(1枚目写真)。ちなみに2枚目写真は、発酵の状態を表したグラフ(少し発酵が早すぎるパターン。)。このように、定期的に糖分(エクスレ)を測定して発酵状態を確認しながら目標とする糖度のワインに仕立てていく。
フェーダーヴァイザーを味わえる期間ももうあとわずか。糖度測定をしながら最後のフェーダーヴァイザーを味わおうと思う。
10月12日 「BBCH 92:Beginn der Laubverfärbung(黄葉・紅葉の始まり)」
一気に秋めいて、黄葉・紅葉が始まりだしたブドウ畑。
品種によって色付き方は様々。リースリングは黄色く色付き(1枚目)、Spätburgunderは赤や黄色に色付く(2枚目は赤い例)。次の写真のCabernet Mitosは濃い赤ワインの色味に色付く。茎まで赤くなる品種もあったりして面白い。Rheingau地域はリースリングが80%近くを占めるので、ブドウ畑はほぼ黄色く変わっていく。
Hammワイナリーで試験的に育てている新たな赤ワインの品種二つ。1,2枚目写真は "Cabernet Sauvignon;カベルネソーヴィニヨン" 。3、4枚目写真はドイツの割と新しい赤ワイン品種である "Cabernet Mitos;カベルネミトス"。
カベルネソーヴィニヨンは暖かい地域の品種であり、ドイツではほとんど栽培されてこなかったが、ここ最近の温暖化で、ドイツでも栽培をする醸造家も増えている。芳香の豊かさが特徴的な品種として有名。一方、カベルネミトスは、鮮やかで濃厚な赤い色味が特徴の品種である。
まだ4年目の樹なこともありそれほど収穫量も多くないため、まだ試験的な位置付け。2年後くらいにどのような赤ワインに仕上がるのか、楽しみである。
この時期の楽しみと言えばやっぱり "Federweisser;フェーダーヴァイザー"。リューデスハイム辺りでも、たくさんのレストランやワイナリーにフェーダーヴァイザーの看板がでていて、多くの人が季節モノとして楽しんでいる。Hammワイナリーのレストランでも提供していて、"Zwiebelkuchen;玉ねぎケーキ(ドイツ版キッシュみたいなもの。)" とセットで飛ぶように売れている。(フェーダーヴァイザーと玉ねぎケーキをセットで楽しむのがドイツ流。)
フェーダーヴァイザーの説明はwikipediaを参照してもらえるとわかりやすい。
この時期は、Keller;セラーには色々な発酵状態のフェーダーヴァイザーがあるので、それらがいつでも楽しめるのは、ワイナリーで働くモノの特権だなぁ、と実感しながら頂いている今日この頃である。
収穫はいよいよ佳境へ。収穫自体は10月20日までには終わる予定で、その後のKeller内の作業も含めると、10月いっぱいはかなり忙しい状態が続きそうだなぁ。。
9月26日 「Weinlese;収穫 開始」
いよいよ2019年の収穫開始。
ここ最近天候が不安定で収穫の計画も立てづらい状況が続いている。(雨により、ブドウ果汁の品質が落ちるため。)それもあって、Weingut Hammでは機械摘みのエリアを増やして対応中。
収穫されたブドウは、このような Presse;圧搾機 にかけていく。圧搾機にはいくつかパターンがあるけど、基本的にタンク内で袋が膨らむことで果実を押しつぶす構造になっている。この規模の圧搾機満タンで、大体 Most;絞った果汁 2000Lくらいとなる。
絞り出された Most;濁りのあるブドウ果汁。86 Oechsle;エクスレで、まずまずいい感じ。(ちなみに、ドイツワイン法で75 Oechsle以上がKabinett;カビネット、85 Oechsle以上がSpätlese;シュペートレーゼ の基準となっている。これはあくまで最低ラインの基準であり、各醸造者はそれぞれの基準を元にそれぞれのワインに仕立てていく。)
今年は気温が低くてブドウの成熟も遅いため、収穫が少し長引きそうである。
9月22日 「BBCH 89:Vollreife der Beeren(完熟)」
温度の低めの晩夏が続き、1か月以上じっくりじっくり熟成を続けてきたブドウ達。いよいよ収穫へ。収穫直前のブドウの様子がこちら。
ブドウの糖度は、ブドウ畑の場所によっても異なるが、だいたい70〜80 Oechsle;エクスレ(ドイツの糖度単位)。ちなみに、だいたい80エクスレが収穫が一つの基準。甘みがだいぶ出てきているが、昨年に比べると明らかに酸味が強め。(ちなみに昨年は、収穫時ですでに90エクスレ程あり、酸味が少なかった。)
Hamm醸造所では、次週から(9/23〜)いよいよ収穫開始!!
ちなみに、4枚目写真は、タンクやホース、フィルターもちろん圧搾機などなどの掃除を終えたKeller;ワインセラー。
8月22日 「BBCH 85:Weichwerden der Beeren(ブドウの実が柔らかくなる)」
順調に成長中。果実も結構柔らかくなってきて、黄色味を帯びて少し透明がかってきた感じ。味はまだ甘みはほとんど出ていないけど、渋みは消えてきたので今後どんどん甘みも出てくるだろう。4枚目の黒ぶどうは葉っぱと房の感じからカベルネ・ソーヴィニヨンかメルローだと思われるけど、。今度ここの畑の人に聞いてみなければ。。
ここ最近は暑い日も少なくて成長はゆっくりになり、収穫時期は平年通り(9月中旬以降)になりそう。一部の地域では、フェーダーヴァイザー用の早熟種(ソラリス)の収穫がすでに始まっているとの情報も。いよいよ一番いい時期が近付いてきたきた!
余談
8月28日〜9月6日まで、フランクフルトのFreβgassからAlteoperの辺りでラインガウワインまつりが開催され、そこにHamm醸造所もスタンドを出します。おいしいBioワインを飲みたい方は是非是非。他にもたくさんのラインガウのワイナリーが並ぶので素敵な雰囲気に包まれます。1枚目写真は "Alrteoper;旧オペラ座"。ワインフェスのHPはこちら。フライヤー(PDF)はこちら(ドイツ語)。フライヤーの18番はHammワイナリーのスタンド。→大盛況のうちに幕をおろしました。
8月10日 「BBCH 81:Beginn der Reife(熟成期の始まり)」
1枚目、2枚目がRieslingで房の上の方から色味が明るくなってきている。実も少しずつ柔らかくなっていていよいよ熟成期へ。黒ぶどうも4枚目写真の様に色づき始めている。品種によって赤くなる時期が結構異なり、すでにほとんどの房が赤黒くなっているものもあったりする。本来なら房の見た目である程度の品種の予想がつかないといけないんだけど、、まだまだ勉強不足。。
8月の中旬になってきて、朝晩15℃以下まで下がる日が多くなってきた。甘みと酸味のバランスのためにも寒暖差が重要で、昨年に比べて気温の下がり方が大きい今年の気候が、ワインの味にどのような変化を生み出すのだろうか。楽しみである。このままいくと、恐らく9月中旬から収穫かな。。
余談。。4月9日〜18日までWiesbadenのマルクト広場でワインフェス開催中。現在働いている "Weingut Hamm;ハム醸造所" のスタンドもでているのでBIOのワインが飲みたい方でちょうどこちらに来られる方は是非。他にもRheingau地方のたくさんのワイナリーがスタンドを出していて大賑わい中。→後半は席の予約もいっぱいで大盛況のうちに幕をおろしました。
7月31日 「BBCH 79:Ende des Traubenschlusses(果実成長期の終了)」
ブドウの成長もそろそろ終わりを迎え、熟成期に入っていきそうな様子。まだ果実は硬い。成長自体はとても順調。
ただ、気になっていた果実の日焼けが広がっている(3枚目)。果実を日に当てるために葉を取り除きすぎている畑のブドウはかなりの範囲でやられている。明らかに去年よりも多い。収穫まであと1か月半強。果たしてどうなるか。
1枚目写真が黒ぶどう(赤ワイン用のブドウ)だったので、改めてRieslingの果実を観察してみると、8月上旬までは成長期が続いているように感じた。(成長期と次の熟成期の境目が本当にわかりにくい。。)
7月18日 「BBCH 77:Beginn des Traubenschlusses(果実成長期の終了間際)」
エンドウ豆よりも大きくなり、そろそろ果実の成長が止まる時期に差し掛かっている。暑い日も多くて成長が早い!果実はまだまだ硬い。
最近目に付くのが、日当たりの良い樹の西側に多くの日焼けした果粒(4枚目)。どんどん増えている様に感じる。気になる。。
7月10日 「BBCH 75:Beeren sind erbsengroβ(粒の大きさがエンドウ豆大)」
順調に成長し、丁度エンドウ豆の大きさにまでなった。普通に歩いていてもブドウの房が目に付くようになり、気持ちも高まっていく。最高気温は35℃〜40℃の日が続くが朝晩は20℃辺りで涼しい。この寒暖差がブドウのふくよかな味をより生み出してくれるといいなぁ。
6月27日 「BBCH 71:Fruchtknoten beginnen sich zu vergröβern(果実の成長開始)」
花が落ち、果実が大きくなり始めている。ここから1か月ほどかけて粒が大きくなり、その後に熟成期へ移っていく。枝もどんどん伸びていて、そろそろ成長点(枝の先端)をカットするブドウ畑も出てくるだろう。
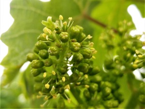
6月18日 「BBCH 68:Abgehende Blüte(80%が開花)」
ほとんどの花が開花した状態。開花後の成長がとにかく早い。毎日ブドウを観察するのが楽しみである。
6月16日 「BBCH 65:Vollblüte(50%が開花)」
どんどん順調に開花が進んでいる。日の当たる場所の開花はやはり早い。
6月14日 「BBCH 61:Beginn der Blüte(10%が開花、開花開始)」
ついに開花。昨年は異常に早くて5月23日だったが、今年は平年並みに近い開花時期。とは言え暑い日が続くので、収穫は早くなりそうな感じ。一応目安としては開花から100日後なので、8月末に果実の熟成度合いをチェックして収穫時期を決めることになるだろう。Hamm醸造所はやや遅めなので、9月中旬から収穫、くらいだろうか。まぁ、それも今後の天気次第。
6月7日 「BBCH 55:”Gescheine” vergröβern sich(つぼみの成長)」
つぼみが順調に成長中。まだ固く閉ざされているが、あと1〜2週間で開花しそう。
5月23日 「BBCH 19:9 oder mehr Blätter entfaltet(9枚以上の葉)」
日に日に暖かくなり、新芽の成長が著しい。つぼみもしっかりと確認できるようになってきた。
5月10日 「BBCH 15:5 Blätter entfaltet(5枚の葉)」
新緑と樹の茶色が良い塩梅でミックスされていて、ブドウ畑が本当に美しい。ブドウの樹が活発に動き出しているのを感じる今日この頃。
5月1日 「BBCH 13:3 Blätter entfaltet(3枚の葉)」
一気にブドウ畑が緑になってきた。なんだか気持ちも自然と上向き気味。太陽を浴びてどんどん成長しろっ!!
4月20日 「BBCH 11:Erstes Blatt entfaltet und vom Trieb abgespreizt(発芽)」
まだ葉が開いていない芽も多いけど、ブドウ畑に緑の点々(芽)が目立ち始めてきた。一気にブドウ畑が華やかになっていくだろう。発芽の時期は去年とほぼ同じ。今年も早い収穫になるのだろうか。
3月29日 「BBCH 01:Beginn des Knospenschwellens(芽の成長開始)」
まだ朝晩は肌寒い中、ブドウの芽が膨らみ始めている。いよいよ春の到来。昨年の枝の剪定は寒い2月に終わらせて、枝を針金に固定する作業が行われている。今年の天候はどうだろうか。昨年の様ないい気候を祈るばかり。
さてさて、2019年のブドウ畑の開幕開幕!
+++++++++++++++++++++++++++++++++
BBCHコードとは
"die Biologische Bundesanstalt, Bundessortenamt und CHemische Industrie" の略で、ドイツで用いられるブドウの樹の成長度合いを表すコードの事。
2018年のブドウ畑
2020年のブドウ畑
+++++++++++++++++++++++++++++++++
10月31日 「BBCH 95:50% Blätter abgefallen(50%落葉)」
Weinkeller内での膨大な作業と一通りの掃除も今週頭でようやく終了し、やっと一息がつける状態に。アルコール発酵は9割方完了して、しばらくは安定化をさせるためにしばしの休息タイムへ。
冬時間になったとたん、朝の冷え込みは0℃近くまで下がるなど、一気に冬の様相を呈してきた最近。ブドウ畑の紅葉も艶やかさがなくなって見頃も終わり。平均すると50%くらいが落葉している。
ここでガイゼンハイムの2019年の天気(気温と雨量)とブドウの成長の関係、さらには2018年との比較を見ておこうと思う。
(ガイゼンハイム大学のデータベースより。一部翻訳。)
今年は春先非常に暖かい日が続き、平均より9日、昨年より2日早く発芽。この時は、誰もが今年も昨年の様に暑くなり、9月頭には収穫となるのだろう、と予想していた。しかし、5月に入り気温が下がり雨も多く、開花は平年並みの6月12日に。2018年に比べると実に2週間ほど遅かった。
6月後半、7月後半と非常に高温の日がありつつ、雨も定期的に降った結果、ブドウの成熟開始が平年よりも6日早く、2018年と比べて2週間以上遅い結果となった。高温のせいで、日焼けによる被害が増えて心配であったが、その後はそれほどの高温にならなかったために大きな打撃を受けるほどには広がらず。とは言え気温は高めに推移して、収穫開始は9月23日。平均より2週間ほど早く、一方昨年より11日ほど遅い結果となった。
重要となる発芽前後の天気が比較的安定していたこともあり、収穫量は比較的多めではあったが、特に成熟期〜収穫期の定期的な雨によってボトリティス菌の増加が目立ったことで収穫期が少し早まったとも言える(ボトリティス菌を起因とする腐敗が危惧されたため。)。ちなみに、ボトリティス菌は貴腐ワインを作る上では有益な菌だが、通常のワインにおいては発生率次第で厄介者となる。(他のカビ菌を誘発したり、果実の腐敗因子となることで不快なアロマがワインに現れてしまう。などなど。)
日焼け(1枚目)とボトリティス菌(2枚目)による被害。
2018年に比べて果汁の糖度はやや低かったものの、酸の含有量は比較的良好であった2019年。ここから数か月をかけてどのようなワインになっていくだろうか。楽しみでしかない。
10月25日 「BBCH 93:Beginn des Laubfalls(落葉の始まり)」
黄色一色になり、少しずつ落葉が始まりだしたブドウ畑。週末はたくさんの人がブドウ畑を散歩していて、ワイナリーのレストランもまだまだ大賑わい!
Hammワイナリーの収穫は10月18日に終わり、プレスや澱(おり)引きを終えて酵母を加えるところまで一通り終わったのが10月21日。ようやく少しだけ一息がつけるようになったここ数日。
そして、Keller(ワインセラー)内では絶賛発酵中(1枚目写真)。ちなみに2枚目写真は、発酵の状態を表したグラフ(少し発酵が早すぎるパターン。)。このように、定期的に糖分(エクスレ)を測定して発酵状態を確認しながら目標とする糖度のワインに仕立てていく。
フェーダーヴァイザーを味わえる期間ももうあとわずか。糖度測定をしながら最後のフェーダーヴァイザーを味わおうと思う。
10月12日 「BBCH 92:Beginn der Laubverfärbung(黄葉・紅葉の始まり)」
一気に秋めいて、黄葉・紅葉が始まりだしたブドウ畑。
品種によって色付き方は様々。リースリングは黄色く色付き(1枚目)、Spätburgunderは赤や黄色に色付く(2枚目は赤い例)。次の写真のCabernet Mitosは濃い赤ワインの色味に色付く。茎まで赤くなる品種もあったりして面白い。Rheingau地域はリースリングが80%近くを占めるので、ブドウ畑はほぼ黄色く変わっていく。
Hammワイナリーで試験的に育てている新たな赤ワインの品種二つ。1,2枚目写真は "Cabernet Sauvignon;カベルネソーヴィニヨン" 。3、4枚目写真はドイツの割と新しい赤ワイン品種である "Cabernet Mitos;カベルネミトス"。
カベルネソーヴィニヨンは暖かい地域の品種であり、ドイツではほとんど栽培されてこなかったが、ここ最近の温暖化で、ドイツでも栽培をする醸造家も増えている。芳香の豊かさが特徴的な品種として有名。一方、カベルネミトスは、鮮やかで濃厚な赤い色味が特徴の品種である。
まだ4年目の樹なこともありそれほど収穫量も多くないため、まだ試験的な位置付け。2年後くらいにどのような赤ワインに仕上がるのか、楽しみである。
この時期の楽しみと言えばやっぱり "Federweisser;フェーダーヴァイザー"。リューデスハイム辺りでも、たくさんのレストランやワイナリーにフェーダーヴァイザーの看板がでていて、多くの人が季節モノとして楽しんでいる。Hammワイナリーのレストランでも提供していて、"Zwiebelkuchen;玉ねぎケーキ(ドイツ版キッシュみたいなもの。)" とセットで飛ぶように売れている。(フェーダーヴァイザーと玉ねぎケーキをセットで楽しむのがドイツ流。)
フェーダーヴァイザーの説明はwikipediaを参照してもらえるとわかりやすい。
この時期は、Keller;セラーには色々な発酵状態のフェーダーヴァイザーがあるので、それらがいつでも楽しめるのは、ワイナリーで働くモノの特権だなぁ、と実感しながら頂いている今日この頃である。
収穫はいよいよ佳境へ。収穫自体は10月20日までには終わる予定で、その後のKeller内の作業も含めると、10月いっぱいはかなり忙しい状態が続きそうだなぁ。。
9月26日 「Weinlese;収穫 開始」
いよいよ2019年の収穫開始。
ここ最近天候が不安定で収穫の計画も立てづらい状況が続いている。(雨により、ブドウ果汁の品質が落ちるため。)それもあって、Weingut Hammでは機械摘みのエリアを増やして対応中。
収穫されたブドウは、このような Presse;圧搾機 にかけていく。圧搾機にはいくつかパターンがあるけど、基本的にタンク内で袋が膨らむことで果実を押しつぶす構造になっている。この規模の圧搾機満タンで、大体 Most;絞った果汁 2000Lくらいとなる。
絞り出された Most;濁りのあるブドウ果汁。86 Oechsle;エクスレで、まずまずいい感じ。(ちなみに、ドイツワイン法で75 Oechsle以上がKabinett;カビネット、85 Oechsle以上がSpätlese;シュペートレーゼ の基準となっている。これはあくまで最低ラインの基準であり、各醸造者はそれぞれの基準を元にそれぞれのワインに仕立てていく。)
今年は気温が低くてブドウの成熟も遅いため、収穫が少し長引きそうである。
9月22日 「BBCH 89:Vollreife der Beeren(完熟)」
温度の低めの晩夏が続き、1か月以上じっくりじっくり熟成を続けてきたブドウ達。いよいよ収穫へ。収穫直前のブドウの様子がこちら。
ブドウの糖度は、ブドウ畑の場所によっても異なるが、だいたい70〜80 Oechsle;エクスレ(ドイツの糖度単位)。ちなみに、だいたい80エクスレが収穫が一つの基準。甘みがだいぶ出てきているが、昨年に比べると明らかに酸味が強め。(ちなみに昨年は、収穫時ですでに90エクスレ程あり、酸味が少なかった。)
Hamm醸造所では、次週から(9/23〜)いよいよ収穫開始!!
ちなみに、4枚目写真は、タンクやホース、フィルターもちろん圧搾機などなどの掃除を終えたKeller;ワインセラー。
8月22日 「BBCH 85:Weichwerden der Beeren(ブドウの実が柔らかくなる)」
順調に成長中。果実も結構柔らかくなってきて、黄色味を帯びて少し透明がかってきた感じ。味はまだ甘みはほとんど出ていないけど、渋みは消えてきたので今後どんどん甘みも出てくるだろう。4枚目の黒ぶどうは葉っぱと房の感じからカベルネ・ソーヴィニヨンかメルローだと思われるけど、。今度ここの畑の人に聞いてみなければ。。
ここ最近は暑い日も少なくて成長はゆっくりになり、収穫時期は平年通り(9月中旬以降)になりそう。一部の地域では、フェーダーヴァイザー用の早熟種(ソラリス)の収穫がすでに始まっているとの情報も。いよいよ一番いい時期が近付いてきたきた!
余談
8月28日〜9月6日まで、フランクフルトのFreβgassからAlteoperの辺りでラインガウワインまつりが開催され、そこにHamm醸造所もスタンドを出します。おいしいBioワインを飲みたい方は是非是非。他にもたくさんのラインガウのワイナリーが並ぶので素敵な雰囲気に包まれます。1枚目写真は "Alrteoper;旧オペラ座"。ワインフェスのHPはこちら。フライヤー(PDF)はこちら(ドイツ語)。フライヤーの18番はHammワイナリーのスタンド。→大盛況のうちに幕をおろしました。
8月10日 「BBCH 81:Beginn der Reife(熟成期の始まり)」
1枚目、2枚目がRieslingで房の上の方から色味が明るくなってきている。実も少しずつ柔らかくなっていていよいよ熟成期へ。黒ぶどうも4枚目写真の様に色づき始めている。品種によって赤くなる時期が結構異なり、すでにほとんどの房が赤黒くなっているものもあったりする。本来なら房の見た目である程度の品種の予想がつかないといけないんだけど、、まだまだ勉強不足。。
8月の中旬になってきて、朝晩15℃以下まで下がる日が多くなってきた。甘みと酸味のバランスのためにも寒暖差が重要で、昨年に比べて気温の下がり方が大きい今年の気候が、ワインの味にどのような変化を生み出すのだろうか。楽しみである。このままいくと、恐らく9月中旬から収穫かな。。
余談。。4月9日〜18日までWiesbadenのマルクト広場でワインフェス開催中。現在働いている "Weingut Hamm;ハム醸造所" のスタンドもでているのでBIOのワインが飲みたい方でちょうどこちらに来られる方は是非。他にもRheingau地方のたくさんのワイナリーがスタンドを出していて大賑わい中。→後半は席の予約もいっぱいで大盛況のうちに幕をおろしました。
7月31日 「BBCH 79:Ende des Traubenschlusses(果実成長期の終了)」
ブドウの成長もそろそろ終わりを迎え、熟成期に入っていきそうな様子。まだ果実は硬い。成長自体はとても順調。
ただ、気になっていた果実の日焼けが広がっている(3枚目)。果実を日に当てるために葉を取り除きすぎている畑のブドウはかなりの範囲でやられている。明らかに去年よりも多い。収穫まであと1か月半強。果たしてどうなるか。
1枚目写真が黒ぶどう(赤ワイン用のブドウ)だったので、改めてRieslingの果実を観察してみると、8月上旬までは成長期が続いているように感じた。(成長期と次の熟成期の境目が本当にわかりにくい。。)
7月18日 「BBCH 77:Beginn des Traubenschlusses(果実成長期の終了間際)」
エンドウ豆よりも大きくなり、そろそろ果実の成長が止まる時期に差し掛かっている。暑い日も多くて成長が早い!果実はまだまだ硬い。
最近目に付くのが、日当たりの良い樹の西側に多くの日焼けした果粒(4枚目)。どんどん増えている様に感じる。気になる。。
7月10日 「BBCH 75:Beeren sind erbsengroβ(粒の大きさがエンドウ豆大)」
順調に成長し、丁度エンドウ豆の大きさにまでなった。普通に歩いていてもブドウの房が目に付くようになり、気持ちも高まっていく。最高気温は35℃〜40℃の日が続くが朝晩は20℃辺りで涼しい。この寒暖差がブドウのふくよかな味をより生み出してくれるといいなぁ。
6月27日 「BBCH 71:Fruchtknoten beginnen sich zu vergröβern(果実の成長開始)」
花が落ち、果実が大きくなり始めている。ここから1か月ほどかけて粒が大きくなり、その後に熟成期へ移っていく。枝もどんどん伸びていて、そろそろ成長点(枝の先端)をカットするブドウ畑も出てくるだろう。
6月18日 「BBCH 68:Abgehende Blüte(80%が開花)」
ほとんどの花が開花した状態。開花後の成長がとにかく早い。毎日ブドウを観察するのが楽しみである。
6月16日 「BBCH 65:Vollblüte(50%が開花)」
どんどん順調に開花が進んでいる。日の当たる場所の開花はやはり早い。
6月14日 「BBCH 61:Beginn der Blüte(10%が開花、開花開始)」
ついに開花。昨年は異常に早くて5月23日だったが、今年は平年並みに近い開花時期。とは言え暑い日が続くので、収穫は早くなりそうな感じ。一応目安としては開花から100日後なので、8月末に果実の熟成度合いをチェックして収穫時期を決めることになるだろう。Hamm醸造所はやや遅めなので、9月中旬から収穫、くらいだろうか。まぁ、それも今後の天気次第。
6月7日 「BBCH 55:”Gescheine” vergröβern sich(つぼみの成長)」
つぼみが順調に成長中。まだ固く閉ざされているが、あと1〜2週間で開花しそう。
5月23日 「BBCH 19:9 oder mehr Blätter entfaltet(9枚以上の葉)」
日に日に暖かくなり、新芽の成長が著しい。つぼみもしっかりと確認できるようになってきた。
5月10日 「BBCH 15:5 Blätter entfaltet(5枚の葉)」
新緑と樹の茶色が良い塩梅でミックスされていて、ブドウ畑が本当に美しい。ブドウの樹が活発に動き出しているのを感じる今日この頃。
5月1日 「BBCH 13:3 Blätter entfaltet(3枚の葉)」
一気にブドウ畑が緑になってきた。なんだか気持ちも自然と上向き気味。太陽を浴びてどんどん成長しろっ!!
4月20日 「BBCH 11:Erstes Blatt entfaltet und vom Trieb abgespreizt(発芽)」
まだ葉が開いていない芽も多いけど、ブドウ畑に緑の点々(芽)が目立ち始めてきた。一気にブドウ畑が華やかになっていくだろう。発芽の時期は去年とほぼ同じ。今年も早い収穫になるのだろうか。
3月29日 「BBCH 01:Beginn des Knospenschwellens(芽の成長開始)」
まだ朝晩は肌寒い中、ブドウの芽が膨らみ始めている。いよいよ春の到来。昨年の枝の剪定は寒い2月に終わらせて、枝を針金に固定する作業が行われている。今年の天候はどうだろうか。昨年の様ないい気候を祈るばかり。
さてさて、2019年のブドウ畑の開幕開幕!






















































































コメント
コメント一覧 (4)
時々お邪魔して情報などを参考にさせていただいております。
私は今年の初めに結婚してヴュルツブルクに住んでおります、2ヶ月半ほどデュッセルドルフで働き、再びヴュルツブルクに戻って来ました。
茸さんは異国の地で1人で何から何まで挑戦し、ワイン醸造家なんて本当に頭が下がる思いでおります。
私はドイツ語の難解さについていけずストレスをかなり感じながら日々をなんとかやり過ごしている毎日なので、日本にいた時のように仕事や趣味に生き甲斐を感じられる生活を早く見出さねばと焦っているところです。
コメントありがとうございます。ブログを見て頂いてありがとうございます。ブログでは結果が出てから書いている記事が多いせいかなかなか途中の苦労は表現できていないです。実際はたいしたことはしておらず、むしろコミュニケーション面では非常に苦労しています。"外国人"として生活する事は本当に大変で、この先もどうなるかわからない状況です。でもやってみるしかないですね。時間がまだまだ必要です。今後もお時間ある時にでもブログを覗いてみてください。ヴュルツブルグのアルテマイン橋でゆっくりワインでも飲める時が早く来ることを祈ってます!
私はワイン醸造に興味があり、ガイゼンハイム大学に留学したいと考えています。化学や生物は留学前にどの程度の知識が必要なのでしょうか。商学部の学生のため高校時代に軽く勉強した程度です。どこに書けばいいのかわからないのでここで質問させていただきました。
コメントありがとうございます。ガイゼンハイムの醸造学部に興味を持っておられるとのことで、ブログを読んで頂いてうれしく思います。必修教科となる理系の科目は実は結構あります。数学(統計)、物理(電気)、化学(無機・有機)、生物、情報処理(パソコン処理)です。日本の大学で単位を取得済みであれば、こちらで振り返ることができます。事前に準備できる内容としては、それぞれの基礎、特に単語をドイツ語で勉強しておくことかと思います。内容については、大学で結構しっかりと詳しく教えてくれますので、そこで学べば何とかなると思います。詳しくは、ブログの一番下右のメッセージからメールアドレス付きでご連絡ください。こちらから返信させてもらいます。